A Lot Of Really Crazy Things Are Starting To Happen And We Haven’t Even Gotten To The Month Of November Yet
I have been hearing from a lot of people about the month of November. Many are convinced that things are going to get really crazy next month, and I think that it is quite likely that they are correct. Of course things are already starting to get crazy all over the globe and we haven’t even gotten to the month of November yet. One of the strongest hurricanes in recorded history just made landfall, renewed fighting has erupted in the Middle East, the streets of Rio de Janeiro have been transformed into a war zone, and the bird flu is absolutely ripping across Germany. Unfortunately, what we are experiencing now may just be a prelude to what is coming next month.
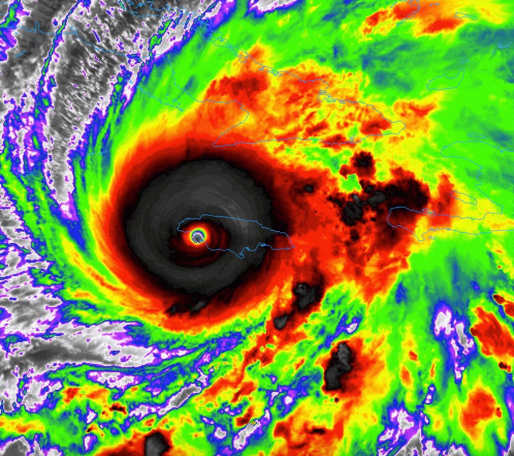
On Monday, Hurricane Melissa made landfall in Jamaica with maximum sustained winds of 185 miles per hour.
The Daily Mail is referring to it as the “storm of the century”…
Hurricane Melissa made landfall across the Caribbean Monday afternoon as the terrifying storm is set to be the worst in history.
The Category 5 hurricane, which has been described as the ‘storm of the century’ that is now stronger than Katrina, is expected to unleash destruction across Jamaica with intense flooding and 185mph winds.
This storm suddenly became one of the strongest hurricanes that we have ever seen.
If a “Category 6” actually existed, it would have been classified as a Category 6 storm.
Personally, I think that it is time to update the scale.
If you can believe it, up to 40 inches of rain is expected to fall in some areas…
The National Hurricane Center is warning that up to 40 inches of rain could fall in southern Hispaniola and Jamaica through Wednesday.
That torrential rainfall is likely to trigger catastrophic, life-threatening flash flooding and landslides in Jamaica and Haiti, especially in hilly and mountainous terrain, according to the National Hurricane Center.
In eastern Cuba, up to 25 inches of rain could fall through Wednesday, with potentially catastrophic flash flooding and landslides. And in the southeast Bahamas, Turks and Caicos, up to 10 inches of rain could fall through Wednesday night, with flash flooding expected.
In my entire lifetime, I have never been anywhere that has received that much rain.
I can’t even imagine what that would look like.
The good news is that Hurricane Melissa is not expected to hit the United States.
Let us hope that our meteorologists are correct about that.
Elsewhere, the very fragile ceasefire between Israel and Hamas appears to be collapsing.
Renewed fighting erupted on Tuesday, and Israeli Prime Minister Benjamin Netanyahu has ordered his forces to carry out “powerful strikes”…
Israeli Prime Minister Benjamin Netanyahu said Tuesday he has ordered the army to immediately carry out “powerful strikes” in Gaza, and Hamas responded by saying it would delay handing over the body of a hostage, putting new pressure on the tenuous U.S.-brokered ceasefire.
Associated Press reporters and witnesses heard tank fire and saw explosions in various parts of Gaza, including in Gaza City and Deir al-Balah.
The order from Netanyahu follows heightened tensions, as Israel reported Hamas firing on its forces in southern Gaza and after Hamas returned a set of remains that Israel said belonged to a hostage recovered earlier in the war.
If the ceasefire is not restored soon, things could quickly spiral out of control.
At this stage, Israeli leaders are already considering several drastic military options…
An Israeli official told CNN that among the options being considered are expanding the so-called yellow line – Israel’s withdrawal line in Gaza – reoccupying additional territory, or retaking the Netzarim corridor, which cuts across Gaza.
Meanwhile, Israel continues to bomb targets in southern Lebanon…
Despite a US-backed ceasefire having officially been in place for over a year in Lebanon, Israel has been steadily ratcheting its aerial attacks in southern Lebanon, against what it says are Hezbollah and terror targets, resulting in scores of casualties.
The latest attack came on Monday, with the Israel Defense Forces (IDF) having confirmed an airstrike in the al-Biyad area of southern Lebanon, which killed two Hezbollah operatives.
One of the Hezbollah operatives that the IDF took out was named Abbas Hassan Karky.
According to the IDF, he was involved in “efforts to rebuild Hezbollah’s combat capabilities”…
ELIMINATED: Abbas Hassan Karky, the logistics commander of Hezbollah’s Southern Front headquarters, was struck & eliminated in the Nabatieh area of southern Lebanon.
Abbas led recent efforts to rebuild Hezbollah’s combat capabilities: Managing the transfer and storage of weapons and assisting in the reestablishment of terrorist infrastructure that had been dismantled during the war, south of the Litani River.
To me, it appears that the war in the Middle East is far from over.
In fact, I think that it is quite likely that we could see a major “surprise” in the weeks ahead.
Before I move on to my next topic, there is one more thing that I wanted to mention.
All of a sudden, Turkey is making a major push “to gain international recognition of its sovereignty over the Golan Heights”…
Syria, backed by Turkey and several Arab countries, has launched a diplomatic campaign to gain international recognition of its sovereignty over the Golan Heights and to return the territory to its control. The move runs counter to ongoing security negotiations between Syria and Israel.
Israel annexed the Golan Heights by law in 1981 and considers it fully sovereign Israeli territory. That sovereignty was recognized by President Donald Trump during his first term, through a 2019 presidential proclamation. As a gesture of appreciation, the Israeli government announced the establishment of the community Trump Heights.
Why is Syria choosing to do this at this time?
Could this spark a conflict between Israel and Syria’s new regime?
We shall see.
On the other side of the planet, the U.S. military just bombed four more narco-trafficking vessels…
The U.S. military on Monday struck four more vessels that were allegedly trafficking narcotics in the eastern Pacific Ocean, killing 14 and leaving one survivor, Defense Secretary Pete Hegseth announced on X.
The four vessels were hit in three different strikes, Hegseth said. The strikes bring the total death toll in President Trump’s campaign against alleged traffickers in the Caribbean and the eastern Pacific to more than 50.
“The four vessels were known by our intelligence apparatus, transiting along known narco-trafficking routes, and carrying narcotics,” Hegseth wrote. “Eight male narco-terrorists were aboard the vessels during the first strike. Four male narco-terrorists were aboard the vessel during the second strike. Three male narco-terrorists were aboard the vessel during the third strike. A total of 14 narco-terrorists were killed during the three strikes, with one survivor. All strikes were in international waters with no U.S. forces harmed.”
In recent years, hundreds of thousands of Americans have been killed by illegal drugs that have come pouring into this country from elsewhere.
So something had to be done.
But if all of this is leading up to full-blown war with Venezuela and/or Colombia, that won’t be good at all.
In Brazil, a government operation that is targeting narco-traffickers has turned the streets of Rio de Janeiro into a war zone…
Dozens are dead, including four police officers, following a major narcoterrorism operation targeting organized crime in Rio de Janeiro. The government operation comes less than two weeks before globalists gather for the COP30 global warming conference in Belem, Brazil.
“We stand firm confronting narcoterrorism,” Governor Claudio Castro wrote on X. He said 2,500 security personnel and 32 armored trucks were a part of the operation across the Alemao and Penha favela regions.
If you think that the term “war zone” is an exaggeration, just watch this video.
I can’t remember ever seeing anything quite like this in Brazil.
Hopefully order will be restored rapidly.
In the Philippines, Taal Volcano has suddenly roared to life…
Over the course of 24 hours spanning October 25 and 26, 2025, Taal Volcano reminded the Philippines—and the world—why it’s considered one of the most unpredictable volcanoes on the planet. Residents of Batangas Province woke to the sight of towering ash plumes and the faint smell of sulfur. At least four short-lived eruptions, classified as minor phreatic and phreatomagmatic events, rocked the northeastern portion of Taal’s Main Crater. These eruptions sent dense columns of ash and steam shooting 1,200 to 2,100 meters into the sky, casting a gray pall over nearby communities in Laurel and Agoncillo.
This is a really big volcano, and a full-blown eruption could cause a tremendous amount of destruction.
So let’s watch this one closely.
Over in Europe, they are dealing with a different sort of a crisis.
The bird flu has been ripping across the continent in recent weeks, and Germany has been getting hit particularly hard…
Over half a million hens, ducks, geese and turkeys have been culled in Germany since the start of September as a virulent strain of bird flu sweeps the country.
According to the Friedrich Loeffler Institute (FLI), the German government agency responsible for monitoring animal pestilence, there have been 30 registered outbreaks in poultry batteries and another 73 among wild birds.
“And we’re expecting more,” a spokesperson told the dpa news agency, explaining that another 23 suspected cases are currently being investigated.
Egg prices are likely to spike once again in the months ahead.
That would be a best-case scenario.
In a worst-case scenario, the bird flu would mutate into a form that can spread easily among humans and millions would die.
Last week, I wrote about how a team of researchers in the United States and South Korea has come up with a version of the bird flu that has a 100 percent death rate in mammals.
They are assuring us that this new version of the bird flu will never get out, but as we have seen, it is way too easy for accidents to happen.
In fact, a truck that was carrying rhesus monkeys that were infected with “hepatitis C, herpes and COVID” just overturned in Mississippi…
A truck hauling “aggressive” rhesus monkeys carrying hepatitis C, herpes and COVID overturned Tuesday in Mississippi, allowing them to escape.
The Jasper County Sheriff’s Department said most of the escaped animals had been destroyed or remained in their cages, but one was still on the loose.
“The monkeys are approximately 40 (pounds), they are aggressive to humans and they require PPE to handle,” a sheriff’s spokesperson said on Facebook.
If you live in Mississippi and you see a diseased rhesus monkey running around in your neighborhood, it would probably be wise to avoid it.
One of these days, there will be an “accident” that they are not able to contain.
And that day may be coming a lot sooner than many people think.
Our ability to create deadly diseases is far greater than our ability to control them, and we will eventually pay a very great price for our reckless behavior.
Michael’s new book entitled “10 Prophetic Events That Are Coming Next” is available in paperback and for the Kindle on Amazon.com, and you can subscribe to his Substack newsletter at michaeltsnyder.substack.com.
About the Author: Michael Snyder’s new book entitled “10 Prophetic Events That Are Coming Next” is available in paperback and for the Kindle on Amazon.com. He has also written nine other books that are available on Amazon.com including “Chaos”, “End Times”, “7 Year Apocalypse”, “Lost Prophecies Of The Future Of America”, “The Beginning Of The End”, and “Living A Life That Really Matters”. When you purchase any of Michael’s books you help to support the work that he is doing. You can also get his articles by email as soon as he publishes them by subscribing to his Substack newsletter. Michael has published thousands of articles on The Economic Collapse Blog, End Of The American Dream and The Most Important News, and he always freely and happily allows others to republish those articles on their own websites. These are such troubled times, and people need hope. John 3:16 tells us about the hope that God has given us through Jesus Christ: “For God so loved the world, that he gave his only begotten Son, that whosoever believeth in him should not perish, but have everlasting life.” If you have not already done so, we strongly urge you to invite Jesus Christ to be your Lord and Savior today.



